【研究ノート】
地すべり地における地下水排除施設の機能低下防止に関する試験調査
1 はじめに
 地すべり防止工事に用いる工法には横ボーリング工や集水井工があります(図-1(a)、(b))。これらは、斜面の地表面や掘削した井戸の中から集水ボーリングを行い、地下水を排除して地下水位を低下させる工法です。
 近年、これらの工法を用いた地下水排除施設が機能低下を生じ、地下水を集水排除できなくなっているものが数多くあり問題となっています。
図-1(a) 横ボーリング工

図-1(a) 横ボーリング工

図-1(b) 集水井工

図-1(b) 集水井工

 新潟試験所では、この問題を解決するための研究を行っています。その成果の一部は新潟試験所ニュース第2号及び第8号で紹介しました。今回は、その後実施された地下水排除施設機能低下防止に関する基礎試験について紹介します。
2 集水管内スライム付着防止のための基礎試験
 写真-1は、機能低下を起こした横ボーリング(小見地すべり 新潟県)の状況を示したものです。集水管孔口には、スライム(ヘドロ状物質)が付着し、地下水が排除できない状態になっています。このような状況は数多く見られ、機能低下の原因の1つとなっています。
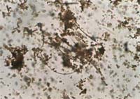
 また、このスライムの成分分析を行った結果、その主成分は酸化第二鉄であることが分かりました。この他、顕微鏡によるスライムの観察では鉄細菌(写真-2)が確認され、その生態から鉄細菌がスライムの主成分である酸化第二鉄の生成に大きく関与していることが分かりました。
写真-1 機能低下した横ボーリング
写真-1 機能低下した横ボーリング
写真-2 鉄細菌(ガリオネラ)
写真-2 鉄細菌(ガリオネラ)
 鉄細菌は、酸素中で活性化する好気性細菌です。また、水中の細菌は菌体が帯電している場合が多く、菌体内に電流が流れた場合細菌は電気的バランスを崩し細胞膜の破壊などにより死滅すると言われています。
 そこで、これらの特性を利用した集水管内スライム付着防止のための基礎試験を行いました。

NEXT back